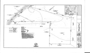
Prime739 property consists of 2 separate parcels of land: a 3 acre and 5 acre parcel that can easily be joined together, totaling 8 commercially zoned acres. Refer to the illustrations below for more information (click to enlarge).
The first is a 3 acre parcel (picture on left) that was at one time in the planning stage for an 8000 sq ft commercial building. Much of the site design work was completed. Full site plans are available for review.
The second parcel is a 5 acre tract of land (second picture on left
) which has approx. 2 acres of land facing Route 739 that were cleared and filled level. This site has a wetlands area in the rear of the property that has been delineated. It also has a PennDot approved highway access permit.
Commercially Zoned 8 Acre Property (Combined Parcel View)
Click here to read the site report prepared by Pike County Economic Development Corporation. Larger engineering site maps are available for review. For inquiries, contact us at Prime739PA@gmail.com
